Donnerstag, 26. Juni 2025
VADIAN.NET, St.Gallen



Nachrichten.ch

Aktuell

Forum


Inland

St.Gallen feiert 50 Jahre Gebührensack und lanciert neuen U-Sack

Inseli in Luzern: Ein vielseitiger Freiraum im Wandel

Davos gestaltet Zukunft: Siegerprojekt für Vali-Meisser-Areal steht fest

Bern stärkt Obdachlosenhilfe: Neue Notschlafstelle für Frauen und FINTA eröffnet

Wirtschaft

Karrierewege in der Schweizer Import/Export-Branche

Der Leapmotor T03: Ein genauer Blick auf den günstigen Elektro-Kleinwagen

Nach der Firmenübernahme: So gelingt Hamburger Unternehmen der erfolgreiche Neustart mit eigenem Markenauftritt

Tipps für eine erfolgreiche Badezimmerrenovierung

Ausland

Globaler Gesundheitspakt: Die Welt rüstet sich für künftige Pandemien

OpenAI nimmt Kurs auf die Emirate: Pläne für KI-Rechenzentren von enormer Dimension

KI-Chips: Tauwetter aus Washington? USA rudern bei Exportregeln zurück

Künstliche Intelligenz, Drohnenschwärme und Hyperschallwaffen - das neue Wettrüsten

Sport

Thun-Süd: Ein neues Zentrum für Sport und Freizeit entsteht

Bewegung im Freien: Solothurn eröffnet neuen Kraftplatz

La Reine bringt Rennradfahrerinnen in Gstaad zusammen

Die neue Formel für ein langes Leben: Was Longevity-Fitness wirklich bewirkt

Kultur

Sandra Piretti: Eine Traumreise durch Mythos und Unterbewusstsein

Appenzeller Farbenpracht: Fachleute tagen zum Erhalt der regionalen Baukultur

Art Basel 2025: Wenn eine Stadt zum globalen Kunstraum wird

Wenn Juwelen Geschichte schreiben: Christie's versteigert königliche Schätze

Kommunikation

Pausen, Pushnachrichten, Produkte: Wie man im Alltag wieder zur Ruhe kommt

Phygital Shopping: Die smarte Verbindung von Online- und Offline-Handel

Die Zukunft des Trackings: Was kommt nach dem Link?

Liquidität sichern: So unterstützt Ihr Buchhalter Ihr Unternehmen

Boulevard

Exklusive Zusammenarbeit: Breitling Eyewear und Cutler and Gross

Ein heisses Thema: E-Bike-Akkus und Hitze

Zermatt informiert: Wichtige Hinweise zu aktuellen Baustellen im Dorfgebiet

Neue Ladenöffnungszeiten 2025 in St. Gallen

Wissen

Gehirn auf dem Chip: Wie 800.000 Neuronen einen Computer antreiben

Der digitale Tumor-Scan: Präzisionsdiagnose per KI

Ein neues Gesicht für die Kulturlandschaft von St. Moritz

Medizin-Cluster Ostschweiz: Wie St. Gallen zur Innovationsregion für Biomedizin und Medtech wird

Wetter


Kolumne


Möchten Sie zu diesen Themen eine eigene
Internetpräsenz aufbauen?

www.menschen.at  www.meteorologische.ch  www.praefektur.net  www.medienberichten.com  www.haushalten.at  www.zahlreiche.ch  www.behoerde.net  www.windgeschwindigkeiten.c ...  www.zehntausende.at  www.kilometern.ch  www.inselgruppen.net

Registrieren Sie jetzt komfortabel attraktive Domainnamen!

Branchenbuch.ch
Domainregistration seit 1995
Internes

Impressum


Werbung


Publireportagen


Newsfeed


Die veröffentlichten Inhalte sind ausschliesslich zum persönlichen Gebrauch bestimmt. Die Vervielfältigung, Publikation oder Speicherung in Datenbanken, jegliche kommerzielle Nutzung sowie die Weitergabe an Dritte sind nicht gestattet.

Nachrichten.ch (c) Copyright 2025 by news.ch / VADIAN.NET AG

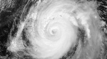
Zehntausende Menschen von Taifun «Jelawat» in Japan betroffen

Tokio - Hohe Wellen, starker Wind, heftiger Regen: Der Taifun «Jelawat» ist über Japan hinweggefegt. Zehntausende Menschen mussten sich in Sicherheit bringen.

fest / Quelle: sda / Sonntag, 30. September 2012 / 22:40 h

Mit Windgeschwindigkeiten von rund 130 Kilometern pro Stunde wütete «Jelawat» am Sonntag auf der Hauptinsel Honchu, wie Japans Meteorologische Behörde (JMA) meldete. Weil Hochwasser drohte, forderten die Behörden mehr als 93'000 Menschen in den Städten Ama und Nagoya in der Präfektur Aichi auf, ihre Häuser zu verlassen, wie der Sender NHK berichtete. Allein in Shizuoka sei der Strom bei rund 90'000 Haushalten ausgefallen.



Taifun Jelawat vorgestern vor Taiwan. / Foto: earthobservatory.nasa.gov

Zahlreiche Flüge und Zugverbindungen mussten in mehreren Teilen des Landes gestrichen werden. Medienberichten zufolge waren am Samstag mehr als 80 Menschen verletzt worden, als der Taifun über den südlichen Inselgruppen tobte. Mehr als 330'000 Haushalte seien vorübergehend ohne Strom gewesen.

In Verbindung stehende Artikel




Ein Toter und mindestens 145 Verletzte nach Taifun





Taifun fegt über japanische Pazifikinsel Okinawa

Publireportagen

«Ausländer-Kredit» für Investitionen in der Heimat? Immer öfter - gerade auch vor den Ferien - wird das Beratungsteam von kredit.ch angefragt, ob auch in der Schweiz lebende Ausländer die Möglichkeit haben, einen günstigen, fairen Kredit zu erhalten. Fortsetzung



Endlich: SMS versenden mit Outlook 2007/2010 St. Gallen - Das mühsame Getippe ist vorbei. Als erster Schweizer Anbieter stellt ASPSMS.COM eine Anbindung an den Mobile Service von Microsofts Outlook 2007/2010 zur Verfügung. Ohne zusätzliche Software können SMS bequem via Outlook 2007/2010 versendet werden – und das auch noch günstiger als mit dem Handy. Fortsetzung



Radiolino - Grosses Radio für kleine Ohren Radiolino ist das erste deutschsprachige Web-Radio der Schweiz für Kinder zwischen 3 und 12 Jahren. Das Programm richtet sich aber auch an Eltern, Grosseltern, Onkeln und Tanten, sprich an die ganze Familie. Fortsetzung







Unwetter

Nach Katastrophen: KI erkennt zerstörte Häuser Steht unser Haus noch? Diese Frage stellen sich Menschen auf der ganzen Welt, die Opfer von Waldbränden wurden. Dies festzustellen war nicht einfach, doch nun können - sobald sich der Rauch für Luftaufnahmen verzogen hat, Gebäudeschäden innerhalb Minuten erkannt werden. Fortsetzung


Weitere Unwetter wüten in Deutschland Schwäbisch Gmünd - Gewitter mit Starkregen haben in Deutschland nach den verheerenden Unwettern im Süden nun auch Nordrhein-Westfalen getroffen. Laub und Schlamm verstopften Kanalrohre, das Wasser lief über die Strassen und flutete Keller. Verletzt wurde ersten Angaben zufolge niemand. Fortsetzung


Vier Tote bei schweren Unwettern in Süddeutschland Schwäbisch-Gmünd - Bei schweren Unwettern und Überschwemmungen sind in Süddeutschland vier Menschen ums Leben gekommen. In Schwäbisch Gmünd wurden am Montag zwei Männer tot geborgen, sie waren in einen Kanalschacht gesogen worden. Fortsetzung


Naturkatastrophen

Die Gewinner des World Press Photo Contest in Olten Vom 26. August bis 3. Oktober 2021 zeigt das IPFO Haus der Fotografie in Olten die Gewinner des World Press Photo Contest 2021 exklusiv in der Deutschschweiz. Fortsetzung


KI soll Entscheidungen in Krisensituationen erleichtern In Krisenzeiten ist eine schnelle Lagebeurteilung für kluge Entscheidungen absolut notwendig. Doch häufig sind die Systeme beteiligter Leitstellen und Lagezentren weder sicher, noch kompatibel und dadurch ist der Informationsaustausch erheblich eingeschränkt. Das soll die mit Künstlicher Intelligenz arbeitende Core Privacy Engine des Berliner KI-Spezialisten Apheris AI GmbH verbessern. Fortsetzung


250 Personen sitzen im Valle Malvaglia TI fest Bern - Heftige Gewitter haben in der Nacht auf Sonntag in Teilen der Schweiz zu Überflutungen und Stromausfällen geführt. Im Tessin mussten nach heftigen Gewittern am Samstagabend Strassen wegen Erdrutschen gesperrt werden. Fortsetzung


Boulevard

Wetterwechsel und Gesundheit: So reagiert unser Körper Plötzliche Temperaturstürze, hohe Luftfeuchtigkeit oder starker Wind - das Wetter kann einen spürbaren Einfluss auf unseren Körper haben. Viele Menschen berichten bei Wetterumschwüngen von Kopfschmerzen, Gelenkschmerzen oder Kreislaufproblemen. Doch auch bei medizinischen Eingriffen spielt das Klima eine unterschätzte Rolle, etwa bei der Heilung nach operativen Behandlungen. Fortsetzung


Achtung Burnout: Zwischen Selbstverrat und Selbstfürsorge - wo man die Kurve kriegen muss Manchmal merkt man es erst spät. Die Aufgaben häufen sich, die Verantwortung wächst, die To-do-Liste wird länger - und man selbst verschwindet langsam hinter dem Funktionieren. Es beginnt schleichend: ein paar verpasste Mahlzeiten, weniger Schlaf, das Gefühl, nie ganz abzuschalten. Man macht weiter. Weil es ja irgendwie geht. Weil man gebraucht wird. Weil man es gewohnt ist. Und weil man glaubt, keine Wahl zu haben. Fortsetzung


FabLab Zürich: Wo Ideen Form annehmen - Einblicke in Verein, Mitgliedschaft und Hightech-Maschinen Das FabLab Zürich öffnet Türen zu digitaler Fabrikation und kreativem Schaffen. Als Verein organisiert, bietet es Mitgliedern Zugang zu modernen Maschinen und einer lebendigen Community. Ein Ort, an dem aus Konzepten greifbare Prototypen und innovative Projekte entstehen können. Erfahren Sie mehr über die Möglichkeiten. Fortsetzung


Stellenmarkt.ch
Spezialist Claims Academy 80 - 100% Du brennst für die Themen rund um Aus- und Weiterbildung und bist offen für neue Wege? Dich motiviert lebenslanges Lernen und du möchtest aktiv dazu...   Fortsetzung

Arzt/ ärztin Allgemeine Innere Medizin 60-100% - Gestalte Die Zukunft Mit Uns! Deine Aufgaben Suchst du eine Tätigkeit, in der sinnstiftende und patientenzentrierte Medizin im Mittelpunkt steht und Teamarbeit grossgeschrieben...   Fortsetzung

Démarre Avec Nous Comme Conseiller Spécialiste Auprès De La Zurich Agence Généra Ce que nous te proposons : Nous accordons une grande importance sur ton développement personnel et professionnel et te soutenons de manière complète...   Fortsetzung

Fachperson Neuanmeldung Ergänzungsleistungen 80 - 100 % <h2 id="bIntro" class="smartEditable"> WAS ist deine Zukunft? Werde Teil unseres Teams als <h1 id="bTitle" class="smartEditable">Fachperson...   Fortsetzung

Facharzt Für Allgemeine Innere Medizin 60-100% Einleitung Spannende Stellenkombination in der modernsten Neurorehabilitationsklinik der Schweiz! Facharzt (a) für Allgemeine Innere Medizin%...   Fortsetzung

Leiter Corporate Insurance Management Firmenbeschreibung Die Swatch Group ist das führende Unternehmen der Schweizer Uhrenindustrie. Unsere Gruppe mit Sitz in Biel besitzt 16 renommierte...   Fortsetzung

Beraterin, Berater Prävention Und Eingliederung Sie überzeugen Arbeitgebende von unserem Angebot. Vielen Arbeitgebenden fällt es schwer, psychische Probleme von Mitarbeitenden anzusprechen. Andere...   Fortsetzung

«One Health» Delegierte:n , Ref. 2874 Ein hohes Ziel: Gesundheit Unser Kunde, das Bundesamt für Gesundheit (BAG) in Bern, arbeitet als leitende und koordinierende Behörde glaubwürdig und...   Fortsetzung